Pages

Tuesday, August 4, 2015

Most Popular stories from August 4


August 04    
FOLLOW US Facebook Twitter Google+ Instagram    

NEWS SPORTS LIFE MONEY TECH TRAVEL OPINION WEATHER
  nation
 
Ferguson police officer Darren Wilson during his medical examination.
 
  Darren Wilson: Ferguson made me unemployable  
  Wilson said he's interviewed for police positions, but been told he's a liability.  
  Read Story Read Story  
SHARE SHARE SHARE SHARE SHARE

  nation      
  USA TODAY   Another soldier spurned by Army dies of apparent suicide
A soldier needed help for PTSD, brain injury and alcohol, yet the Army sent him packing.
SHARE SHARE SHARE SHARE
 
 
  weather      
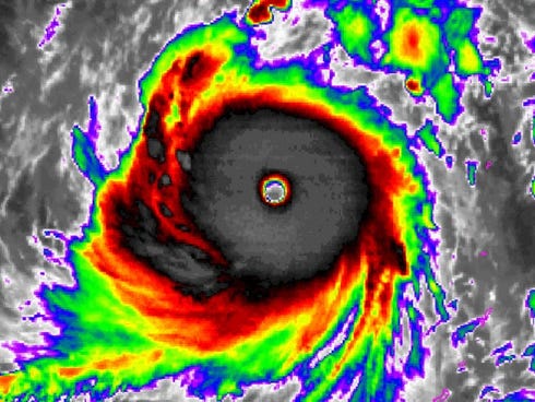
  A color-enhanced satellite image shows Super Typhoon Soudelor spinning in the Pacific on Monday.   Earth's most powerful storm of the year roars across Pacific
The Earth's most powerful storm of 2015 — Super Typhoon Soudelor — is now spinning in the western Pacific Ocean after clobbering Saipan.
SHARE SHARE SHARE SHARE
 
  people      
    People losing it over Stefani-Rossdale divorce
INCLUDING US. WHYYYYYYYYY?!
SHARE SHARE SHARE SHARE
 
Advertisement
  politics      
    Joe Biden's sister: 'He'll decide when he decides'
Valerie Biden Owens on Monday said the Biden family has not been "gathering around to decide whether [Joe] will run for president."
SHARE SHARE SHARE SHARE
 
  Personal Finance      
  This is Christian   Obamacare reduces maximum out-of-pocket costs, but not enough for some
A very sick adult or child can be enough to hit the maximum allowable out-of-pocket costs.
SHARE SHARE SHARE SHARE
 
  tech      
  FILE - In this June 30, 2011 file photo, a United Parcel Service driver delivers packages from Amazon.com in Palo Alto, Calif. Amazon aimed for Christmas in July with its much-hyped ìPrime Dayî sale on Wednesday, July 15, 2015, but some shoppers were   Amazon introduces limits to Prime sharing
Accounts can now only be shared with one other person.
SHARE SHARE SHARE SHARE
 
  mma      
    'Cyborg' threatens legal action against Rousey
Ronda Rousey's steroid comments have Cris Justino heated.
SHARE SHARE SHARE SHARE
 
  people      
  50 Cent attends the 'Southpaw' premiere on July 20.   50 Cent says expenses are $108,000 a month
Rapper 50 Cent says in a Connecticut bankruptcy court filing he spends $108,000 a month on his expenses, including $5,000 for gardening.
SHARE SHARE SHARE SHARE
 
  sports      
  Players and staff members of the Bee Jays gather after the death of batboy Kaiser Carlile.   Father of batboy who died: 'He cared about everyone'
Says umpire: "I did hear was the contact of the hit and then I heard him hit the ground."
SHARE SHARE SHARE SHARE
 
  The Day In Pictures Gallery
Firefighters douse a backfire while battling the Rocky Fire near Clearlake, Calif. The fire, one of dozens raging in drought-parched Northern California, has destroyed 24 residences and scorched 60,000 acres, according to CalFire.

Firefighters douse a backfire while battling the Rocky Fire near Clearlake, Calif. The fire, one of dozens raging in drought-parched Northern California, has destroyed 24 residences and scorched 60,000 acres, according to CalFire.
 
  Popular Stories
Darren Wilson: Ferguson made me unemployable
Another soldier spurned by Army dies of apparent suicide
Earth's most powerful storm of the year roars across Pacific
 
To forward this e-mail to a friend, click here
USA TODAY
You are currently subscribed to this newsletter with the address: woowonenature@gmail.com. To UNSUBSCRIBE, please click here.
Manage Subscriptions | Help | Advertise | Home Delivery | Privacy Policy - Your California Privacy Rights
© 2015 USA TODAY, a division of Gannett Satellite Information Network, Inc.
7950 Jones Branch Drive, McLean, VA 22108

No comments:

Post a Comment